بكين – هونغ كونغ – مانيلا – وكالات |
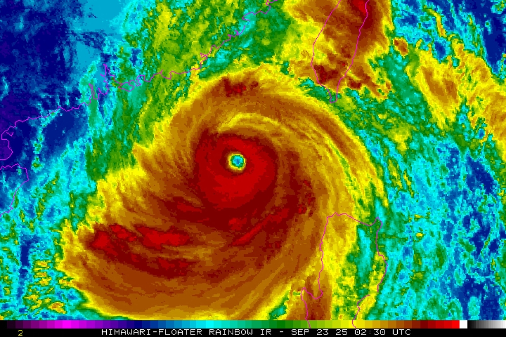
أمرت السلطات الصينية، الثلاثاء، بتعطيل العمل والمدارس والمواصلات في شنتشن وحوالى عشر مدن رئيسية أخرى في جنوب البلاد بسبب اقتراب الإعصار راجاسا.

وقالت السلطات في منطقة “شنتشن” في بيان “من المتوقّع أن يُسبّب الإعصار آثارا وخيمة من الرياح والأمطار والأمواج والفيضانات ابتداء من ليلة 23 سبتمبر”، مشيرة إلى أنّه “باستثناء فرق الإنقاذ ومقدّمي الخدمات الأساسية، يُرجى عدم الخروج إلا للضرورة”. ويقطن هذه المدن عشرات ملايين السكّان.
كما أمرت السلطات في هذه المناطق الواقعة في مقاطعة قوانغتشو بتعليق الإنتاج الصناعي والتجارة.
وتسبب إعصار “راجاسا” يوم الاثنين في شلّ حركة النقل الداخلي في تايوان، إذ أُلغيت جميع الرحلات الجوية إلى الجزر النائية بعد ظهر اليوم بالتوقيت المحلي.
وذكرت وكالة الأنباء المركزية التايوانية (سي.إن.إيه)، أن شركات النقل المحلية وسلطات الموانئ أعلنت تعليق 88 من خدمات العبارات التي تسير على 13 مساراً.
وفي السياق ذاته، أعلنت شركتا “يو إن آي إيروايز” و”ماندرين إيرلاينز” إلغاء جميع الرحلات المقررة بعد الساعة 12 من ظهر يوم الاثنين بين تايوان والجزر الساحلية، كما تقرر تعليق الرحلات الجوية إلى مدينتي هوالين وتايتونغ في شرق البلاد طوال اليوم، وفق وكالة الأنباء الألمانية.
ونصحت الشركتان المسافرين بمتابعة التحديثات عبر الإنترنت قبل التوجه إلى المطارات.

وتوقع مطار هونغ كونغ الدولي خفض أعداد الرحلات الجوية ابتداءً من يوم امس الثلاثاء، حيث يستعد المركز المالي الآسيوي لواحد من أقوى الأعاصير التي يتعرض لها منذ أعوام.
وتوقفت جميع الرحلات الجوية امس الثلاثاء، من الساعة السادسة مساءً بالتوقيت المحلي حتى السادسة من صباح يوم غد الخميس، بسبب إعصار “راجاسا” القوي.
وقالت هيئة مطار هونغ كونغ، في يوم الاثنين، إنها “بدأت الاستعدادات للإعصار، حيث قامت بتغطية مجالات مثل سلامة ساحة انتظار الطائرات، وعمليات الطيران، ورعاية الركاب، والنقل البري بين المطار والمدينة ومناطق استراحة الموظفين”.
وأعلنت شركة طيران الإمارات، الاثنين، عن إلغاء العديد من الرحلات الجوية من وإلى هونج كونج وشنتشن بسبب وصول الإعصار راجاسا، الذي من المتوقع أن يضرب المدينتين يومي 23 و24 سبتمبر.
وقالت شركة الطيران في بيانها إن الركاب المسافرين عبر دبي الذين تكون وجهاتهم النهائية في هونج كونج أو شنتشن لن يُسمح لهم بالسفر إلى نقطة انطلاقهم حتى إشعار آخر.
يُرجى من العملاء المتأثرين بإلغاء الحجوزات التواصل مع وكالة سفرهم لإعادة الحجز. أما من لديهم حجز مباشر عبر طيران الإمارات، فعليهم التواصل مع شركة الطيران.
وقالت شركة كوانتاس للطيران إن مطار هونج كونج الدولي اغلق جميع رحلات الركاب لمدة 36 ساعة اعتبارا من مساء الثلاثاء، بينما يستعد المركز المالي الآسيوي لأحد أقوى الأعاصير الهائلة منذ سنوات.
جريدة وجهات أول جريدة عمانية مختصه بالسفر و السياحة